Track Charts - Volume 8 - $10*
New York, Ontario & Western;
New York, Susquehanna & Western;
Erie Railroad -
1300 images of Land Valuation Maps & Track Profiles
*Now available
as a direct download via Dropbox®! See main NMRO Products page for
details.
Thanks to the efforts of a few wonderful
individuals, this latest group of Land Valuation Maps is now released to the
public. See the details below to review the routes represented in this new
collection.
NMRO is offering ONE (1) compact disk containing 1300
images of land valuation map drawings of -- New York, Ontario & Western
Railroad (partial coverage); New York Susquehanna & Western Railroad
(complete coverage); Erie Railroad (complete coverage east of Binghamton, NY) .
Please, make note of the
sample images provided as they indicate just a tiny fraction of trackage covered
on this CD. The key map for New York, Ontario & Western shows the segments
of lines covered by this CD in red. The remaining lines for NYS&W and Erie
are complete for those railroads as described above. There are also some
condensed profiles for NYO&W and NYS&W as well.
This
CD contains public domain land valuation maps for the following railroads: New
York, Ontario & Western Railroad; New York, Susquehanna & Western
Railroad; Erie Railroad.
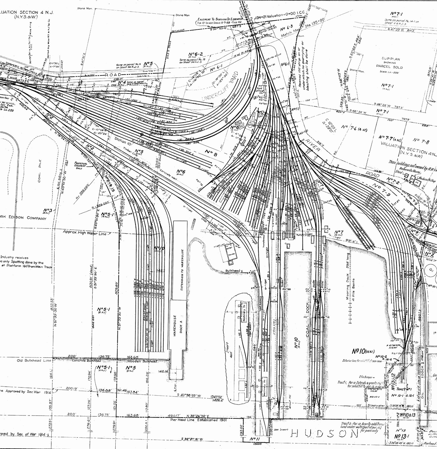
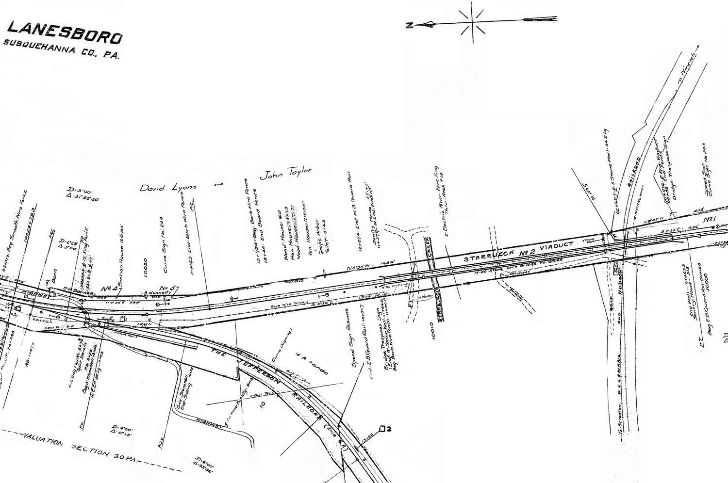
Image Details: Most all Land Valuation Maps are 9950 x 4200+/-
pixels. A very few are smaller (because they were given to us as smaller
images). Resolution of all images is mostly 2 color GIF format.
If you were to try to obtain these maps anywhere else in paper
form it would cost you THOUSANDS of dollars!!! NMRO Products proudly believes
that railroad information should be shared as reasonably as possible.
Clarification: The data is FREE because it is public domain. NMRO just does the
legwork for you.

NYO&W - Line Coverage Map
(right click on images and open larger version in a new tab)

NYO&W
Land Valuation Map Sample

NYO&W
Condensed Profile Sample

NYS&W
Land Valuation Map Samples


Erie
Railroad Land Valuation Map Samples



Order your
copy today by mailing $10 + $2 postage to:
Scott J.
Whitney
78 Goret Dr.
Colorado Springs, CO 80911
NOTE 1: International mail orders must include $4 additional
postage to Canada & Mexico, Total
postage $6.
(NOTE 2: ALL International mail orders outside North America must be by Dropbox download only.)
Or use
the handy PayPal links below:
